Hainer Place - Hainer Place by Mungo Homes in Conway
Hainer Place is a new home community in Conway by Mungo Homes

1002 Hainer Place Drive
Conway, SC 29526
(843) 940-3609
Hainer Place is a new home community in Conway by Mungo Homes
Vansant Realty Group serving the Hainer Place community in Conway

Hainer Place
Mungo Homes

Mungo Homes is the builder in Hainer Place. Michael J. Mungo starting building homes in the Columbia, South Carolina area in 1954, and still today, the Mungo family is involved in the day-to-day operations of the new home building business. Mungo Homes is now a division of the Clayton Home Building Group and a Berkshire Hathaway company,

Mungo Homes is very active in Conway and the Myrtle Beach area with numerous other communities ongoing, including but not limited to:

Mungo Homes communities in the Myrtle Beach area
Data Courtesy Myrtle New Homes

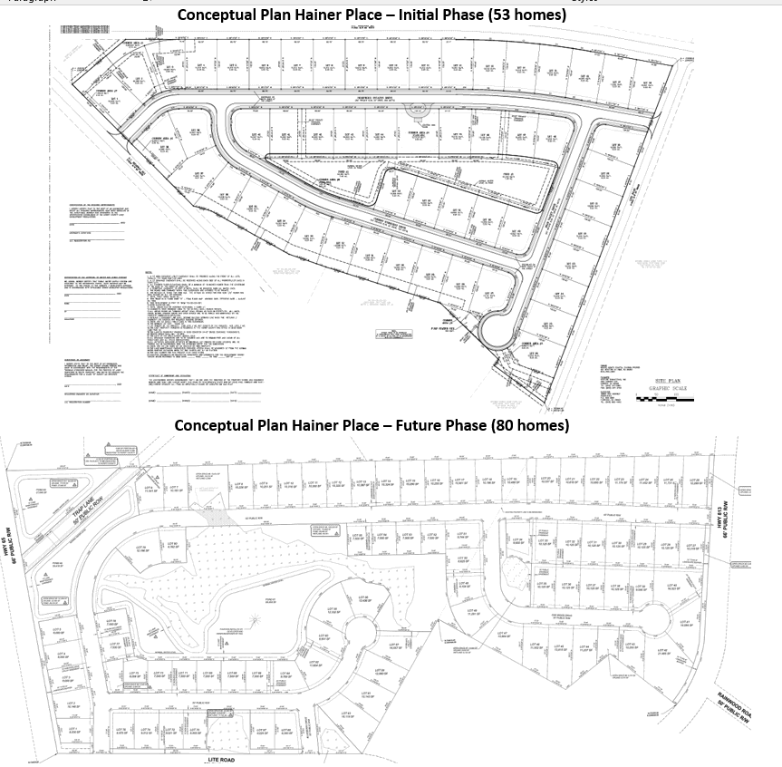
Hainer Place is conveniently located just north of downtown Conway, a few minutes east of Highway 701 and just off of SC Highway 65. Current plans are for Mungo Homes to be building 53 single family homes in Hainer Place in an initial phase and 80 single family homes in a second phase (formerly Rose Estates).

The single family homes in Hainer Place will range from 1,148 to 2,223 square feet and pricing is starting in the high $200's.

Mungo Homes is offering 9 different floor plans in the new home community of Hainer Place in Conway:

(1) Ford - 2 to 5 bedrooms, 2 to 3.5 bathrooms, 1,383 square feet to 1,902 square feet of living space - Ford model starting at $279.900

(2) Howard - 3 to 5 bedrooms, 2 to 3 bathrooms, 1,433 square feet to 1,959 square feet of living space - Howard model starting at $282.900

(3) Bartow - 3 bedrooms, 2.5 bathrooms, 1,476 square feet - Bartow model starting at $269,900

(4) Lawrence - 2 to 4 bedrooms, 2 to 3.5 bathrooms, 1,500 square feet to 1,978 square feet of living space - Lawrence model starting at $286,900

(5) Brunswick - 3 bedrooms, 2 bathrooms, 1,548 square feet - Brunswick model starting at $278,900

(6) Guilford - 4 bedrooms, 2.5 bathrooms, 1,772 square feet to 1,816 square feet of living space - Guilford model starting at $285,900

(7) Kershaw - 3 bedrooms, 2.5 bathrooms, 1,951 square feet to 1,962 square feet of living space - Kershaw model starting at $294,900

(8) Lancaster - 4 to 5 bedrooms, 2.5 to 3 bathrooms, 2,152 square feet to 2,175 square feet of living space - Lancaster model starting at $303,900

(9) Meriwether - 3 to 5 bedrooms, 2.5 to 3 bathrooms, 2,223 square feet to 2,241 square feet of living space - Meriwether model starting at $305,900

Mungo Homes first began to sell the single-family homes in Hainer Place in May of 2025. The initial set of single-family homes in Hainer Place closed at the end of July 2025.


Preliminary Site Map

Hainer Place

Conceptual Plan for Hainer Plan by Mungo Homes - data courtesy Conway City Council
For Information Purposes only - Data Courtesy Conway City Council

Hainer Place
Recently Sold by Mungo Homes

Homes recently sold in Hainer Pace by Mungo Homes - data courtesy of Horry County Land Records
NOTE: Data above courtesy of Horry County - Land Records


One specialty of Vansant Realty Group is to help buyers discover their perfect home in carefully curated communities. Vansant Realty Group is not directly affiliated with any specific builder, but they have experienced agents that will work closely with the buyer to provide unbiased insights and personalized guidance through every step of the home buying journey. Vansant Realty Group provides services to the Hainer Place community. Vansant Realty Group is a full-service Real Estate Brokerage that serves not only the Hainer Place community but also Myrtle Beach and the surrounding areas, including Horry County, Georgetown County and southeasterm Brunswick County.


Homes for sale in Hainer Place in Conway

For a current list of available Hainer Place homes for sale please contact Vansant Realty Group.


Vansant Realty Group - real estate brokerage firm servicing Hainer Place and the surrounding areas of Myrtle Beach.
(843) 940-3609
Hainer Place is a new home community in Conway by Mungo Homes
Vansant Realty Group serving the Hainer Place community in Conway

Links to Useful Resources for Hainer Place